BO CARRIZALESHATILLO, 00659




Mortgage Calculator
Monthly Payment (Est.)
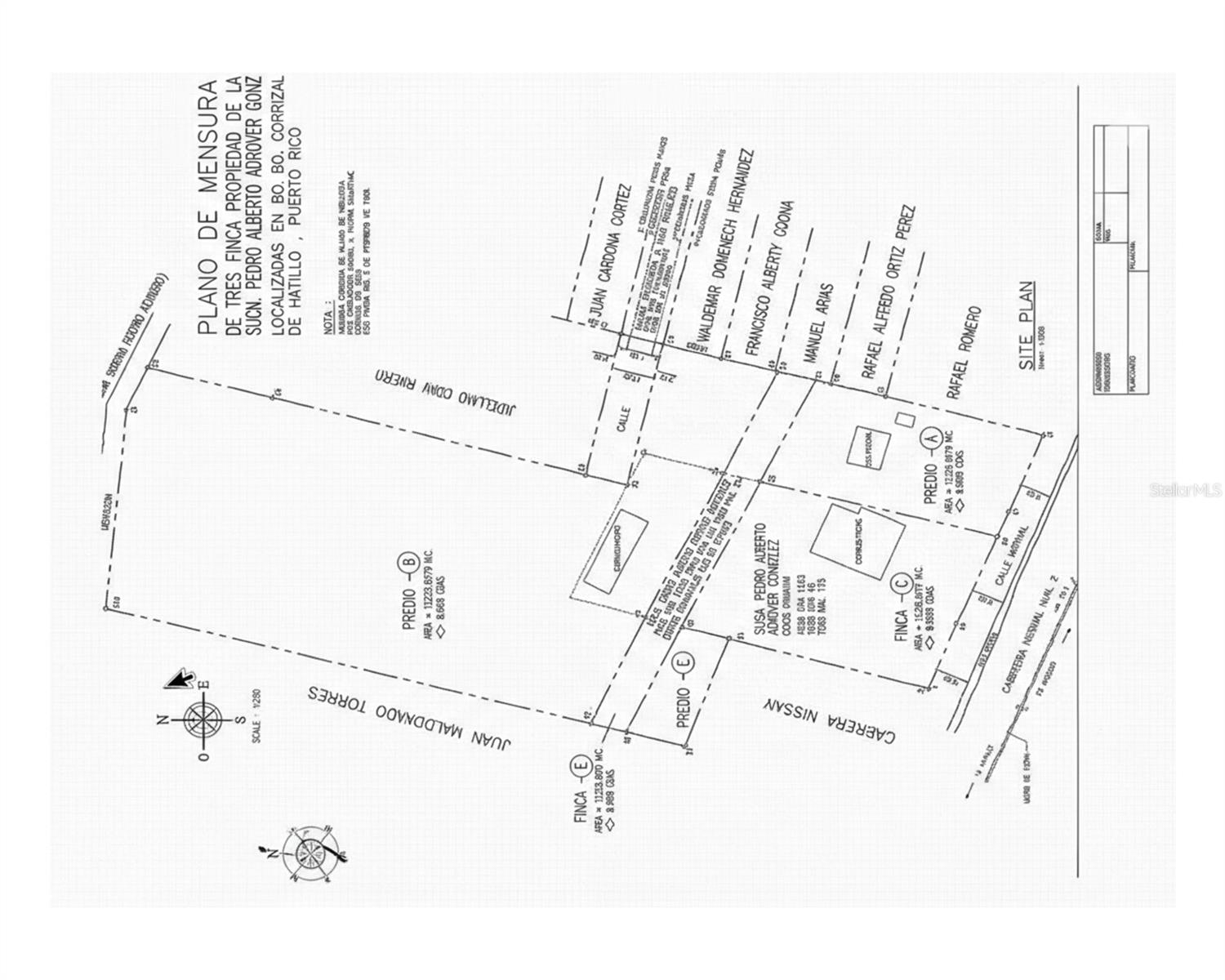
$13,231Strategic development opportunity consisting of three (3) land parcels identified as Parcel A, Parcel B, and Parcel C (Finca C), located in Carrizales Ward, Municipality of Hatillo, Puerto Rico, within an area designated for commercial and tourism-related development according to current zoning classifications. According to title records, the property contains approximately 5.54 acres, offering flexibility for integrated planning and scalable development. The assemblage allows multiple layout configurations suitable for commercial, tourism, or service-oriented projects subject to applicable permits. Parcel C (Finca C) features direct frontage along State Road PR-2, providing strategic visibility, vehicular accessibility, and commercial exposure. The property also offers ocean views, enhancing its scenic value and potential appeal for hospitality and tourism-oriented developments. ZONING AND REGULATORY FRAMEWORK: Zoning Classification: CT-I (Intermediate Commercial Tourist) Land Use Classification PT and PUT: SU (Urban Land) Overlay District: APE-ZC (Karst Special Planning Area) Not located within a floodway. Subject to Puerto Rico Land Use Plan, Tourism Interest Zones incorporated into the current Joint Regulation, and the Karst Special Planning Area Plan and Regulations (PRAPEC). PERMITTED USES (among others): Hotel, eco-lodging, tourist villas, condo-hotel, short-term lodging, professional offices, financial institutions, restaurants, retail uses, art galleries, gyms, daycare centers, vehicle rental, startups, specialized lodging and compatible tourism-related uses subject to applicable regulations. LAYOUT: Parcel C (Finca C) — Strategic frontage along PR-2 with existing structures as shown on the survey plan. Parcel B — Primary parcel as described in title records. Parcel A — Complementary parcel with public road access. POSITIONING: The combination of commercial-tourism zoning, significant land area, ocean views, and prime roadway exposure presents characteristics suitable for hospitality, commercial, service, and tourism-oriented development evaluation, subject to permits and approvals. NOTE: Areas, boundaries, and characteristics are subject to verification according to survey plans and recorded documentation.
| 2 weeks ago | Listing updated with changes from the MLS® | |
| 2 weeks ago | Status changed to Active | |
| 2 weeks ago | Listing first seen on site |
Listing information is provided by Participants of the Stellar MLS. IDX information is provided exclusively for personal, non-commercial use, and may not be used for any purpose other than to identify prospective properties consumers may be interested in purchasing. Information is deemed reliable but not guaranteed. Properties displayed may be listed or sold by various participants in the MLS Copyright 2026, Stellar MLS.
Last checked: 2026-03-01 06:33 AM EST
Did you know? You can invite friends and family to your search. They can join your search, rate and discuss listings with you.